Evoluciona 'Hilary' a huracán categoría 1 en el Pacífico
01 MIN 00 SEG
Grupo REFORMA
Cd. de México (17 agosto 2023) .-06:52 hrs


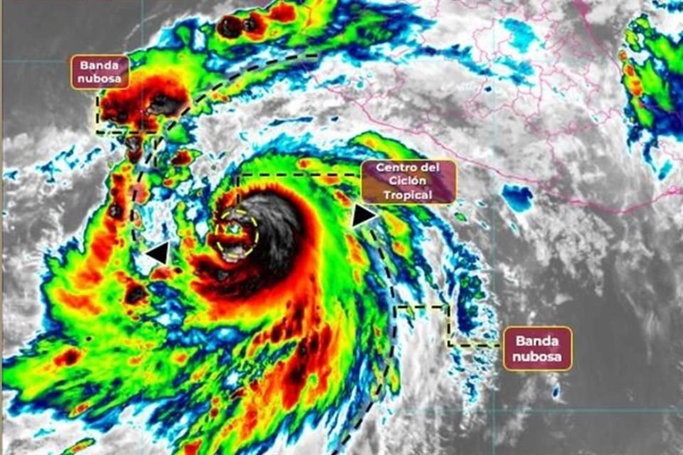
La tormenta tropical "Hilary" evolucionó a huracán categoría 1 al sur-suroeste de Manzanillo, Colima. Crédito: Especial
La tormenta tropical "Hilary" evolucionó a huracán categoría 1 al sur-suroeste de Manzanillo, Colima, con vientos de 120 km/h, informó la Comisión Nacional del Agua.