Prevén fuerte impacto de 'Hilary' en BC y suroeste de EU
01 MIN 30 SEG
Víctor Osorio
Cd. de México (17 agosto 2023) .-16:00 hrs


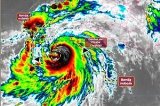
Imagen de satélite del huracán 'Hilary' de la Administración Nacional Oceánica y Atmosférica de EU. Crédito: AP
El huracán "Hilary" tiene el potencial de tener impactos significativos en la península de Baja California y partes del suroeste de Estados Unidos este fin de semana y principios de la próxima semana, incluso después de que se vuelva un fenómeno postropical, advirtió el Centro Nacional de Huracanes de EU.